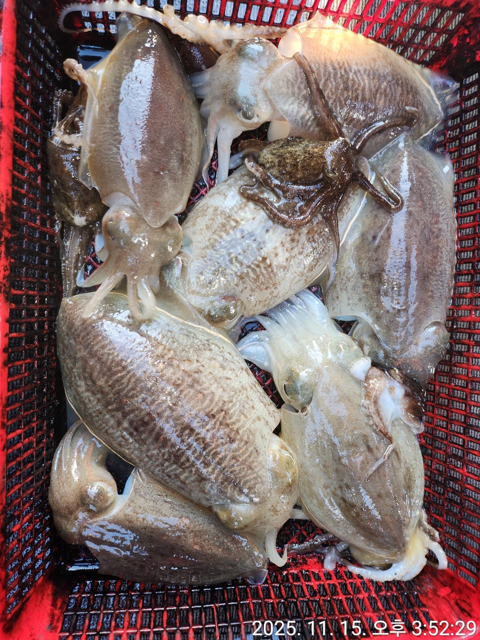
[영흥도아라2호] 11월 15일 조황
갑이사이즈가 좋습니다~함께 해주셔서 감사합니다!
예약 010-5572-3550
www.araho.co.kr/reservation
[영흥도아라2호]5월 18일 5인출조 조…
아라피싱 Hot 274
[영흥도아라3호] 5월 17일 조황
아라피싱 Hot 254
[영흥도아라2호 ] 5월 17일 조황
아라피싱 Hot 335
[영흥도아라2호] 5월 16일 조황
아라피싱 Hot 326
[영흥도아라3호] 5월 16일 조황
아라피싱 Hot 163
[영흥도아라3호] 5월15일 13인출조
아라피싱 Hot 158
[영흥도아라3호] 5월 14일 조촹
아라피싱 Hot 221
[영흥도아라2호] 5월 14일 조황
[영흥도아라2호] 5월 13일 조황
아라피싱 Hot 356
[영흥도아라3호] 5월 13일 조황
아라피싱 Hot 232
[영흥도아라2호]5월 12일 6인출조 조…
아라피싱 Hot 345
[영흥도아라2호] 5월 10일 조황
아라피싱 Hot 467
[영흥도아라3호] 5월 10일 조황
아라피싱 Hot 384
[영흥도아라3호] 5월 9일 조황
아라피싱 Hot 336
[영흥도아라2호] 5월 9일 조황
아라피싱 Hot 368
영흥도아라2호 5월 7일 조황
아라피싱 Hot 403
[영흥도아라3호] 5월 5일 조황
아라피싱 Hot 409
[영흥도아라2호] 5월 5일 조황
아라피싱 Hot 363
[영흥도아라2호] 5월 3일 14인출조
아라피싱 Hot 428
[영흥도아라3호] 5월 3일 조황 7인출…
아라피싱 Hot 342