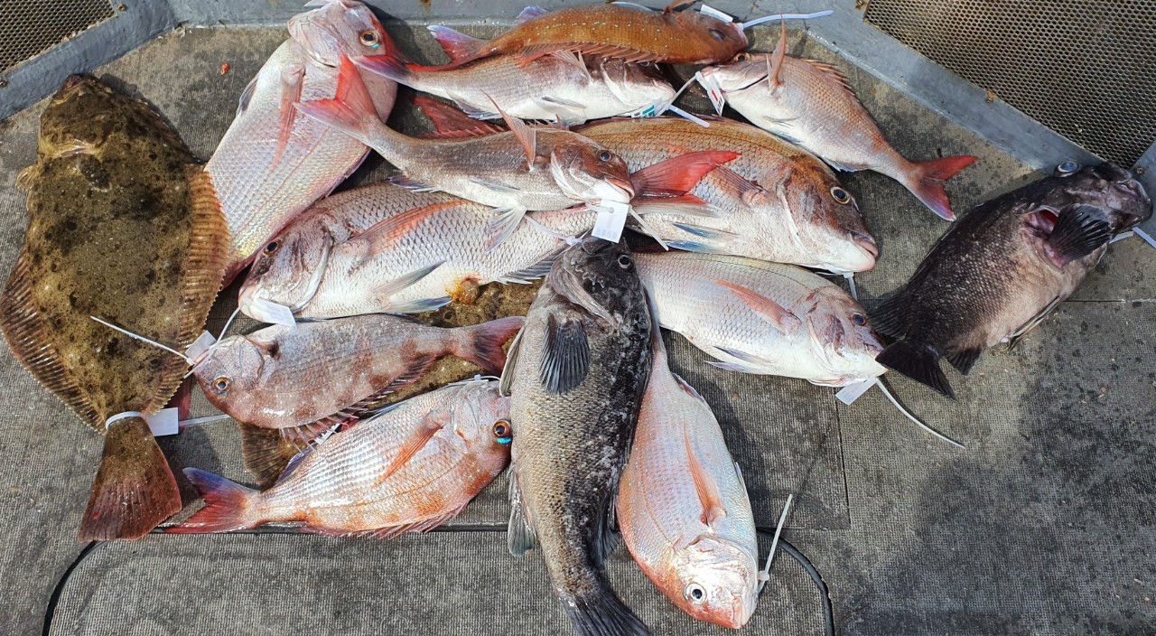
[아라2호]7월 30일 참돔조황
함께 해주셔서 감사합니다
내일 아라호/아라2호 정상출항합니다 ~~
출조 전 선수자리 관련 공지사항 참고부탁드릴게요
http://www.araho.co.kr/post/2106
[아라2호] 9월 7일 조황 (쭈갑출조)
Araho 1,246
[아라호] 9월 3일 주꾸미출조 조황
Araho 1,533
[아라2호] 9월 3일 주꾸미출조 조황
Araho 1,314
[아라2호] 9월 2일 주꾸미출조 조황
Araho 1,388
[아라호] 9월 2일 주꾸미출조 조황
Araho 1,245
[아라2호] 9월 1일 주꾸미 첫 출조조…
Araho 1,328
[아라호] 9월 1일 주꾸미 첫 출조 조…
Araho 1,285
[아라호&아라2호] 8월 20일 …
Araho 1,450
[지니호] 8월 20일 조황
Araho 1,286
[아라호] 8월 17일 참돔조황 (9인출…
Araho 1,362
[아라호&아라2호] 8월 14일 …
Araho 1,485
[아라2호] 8월 7일 조황
Araho 1,683
[아라2호] 8월 6일 독선조황
Araho 1,340
[아라호] 8월 6일 참돔 7명출조조황
Araho 1,346
[아라호] 8월 1일 참돔 조황 (10인…
Araho 1,637
[아라호&아라2호] 7월 31일 …
Araho 1,462
[아라2호] 7월 30일 참돔조황
Araho 1,597
[지니호]7월 30일 다잡아조황 (7인출…
Araho 1,582
[아라호] 7월 29일 참돔조황
Araho 1,445
[아라2호] 7월 28일 참돔조황
Araho 1,371