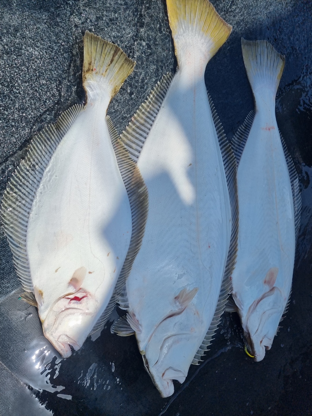
[아라호] 4월 17일 주꾸미&광어출조 조황
여섯분 모시고 출항했습니다
오전 주꾸미, 오후 광어다운샷진행했습니다
함께 해주셔서 감사합니다
다음에 또 뵙겠습니다
예약주세요
4월대광어탐사/ 5~6월광어다운샷
예약문의 010.5572.3550
[아라호] 4월 17일 쭈꾸미&광…
Araho 1,572
[지니호] 4월 10일 다잡아외수질조황
Araho 1,675
[지니호] 4월 9일 다잡아외수질 조황
Araho 1,500
[아라호] 4월 9일 봄주꾸미 출조
Araho 1,389
[아라2호] 4월 9일 광어/우럭외수질출…
Araho 1,503
[아라호] 11월 28일 조황 (쭈갑출조…
Araho 1,600
[아라2호] 11월 27일 외수질 조황
Araho 1,698
[지니호] 11월 27일 조황 (8인출조…
Araho 1,441
[아라호] 11월 27일 조황 (쭈갑출조…
Araho 1,365
[아라2호] 11월 21일 조황 (외수질…
Araho 1,582
[아라호] 11월 14일 조황 (쭈갑출조…
Araho 2,062
[아라호] 11월 13일 조황(쭈갑출조)
Araho 1,953
[아라2호] 11월 13일 조황 (갑이출…
Araho 1,607
[지니호] 11월 13일 조황 (독선출조…
Araho 1,435
[아라호] 11월 6일 조황 (쭈갑출조)
Araho 1,541
[지니호] 11월 6일 조황 (8인독선출…
Araho 1,320
[아라호] 11월 5일 조황 (갑이출조)
Araho 1,534
[지니호] 11월 2일 조황 (7인출조)
Araho 1,866
[아라호] 11월 1일 조황 (쭈갑조황)
Araho 2,868
[지니호] 11월 1일 조황 (4인출조)
Araho 1,419