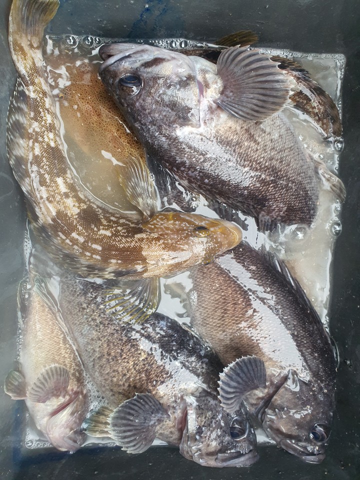
아라호입니다
비오는 가운데도 열심히 낚시 해주셔서 감사합니다
어제는 단체분들 모시고 시간낚시 다녀오고
오늘은 열분의 조사님들과 외수질낚시 다녀왔습니다
이렇게 주말을 잘 마무리하고 비가 오기 시작하네요
내일은 기상이 좋지않아 출조하지 않습니다
무더운 여름 건강하게 보내시길 바랄게요
감사합니다
[아라2호] 9월 24일 주꾸미 조황
Araho 2,394
[아라호] 9월 22일 시간배 조황
Araho 2,456
[아라호] 9월 20일 주꾸미 조황
Araho 2,667
[아라2호] 9월 19일 주꾸미 조황
Araho 2,291
[아라2호] 9월 18일 주꾸미 조황
Araho 2,925
[아라호] 9월 15일 주꾸미 조황(10…
Araho 2,240
[아라2호] 9월 15일 주꾸미 조황(1…
Araho 3,606
[아라호] 9월 14일 주꾸미 조황
Araho 2,656
[아라2호] 9월 14일 주꾸미 조황
Araho 2,309
[아라2호] 9월 13일 주꾸미 조황
Araho 2,524
[아라호] 9월 13일 주꾸미 조황
Araho 2,387
[아라2호] 9월 12일 주꾸미 조황
Araho 2,678
[아라호] 9월12일 주꾸미 조황
Araho 2,152
[아라2호] 9월 11일 주꾸미 조황
Araho 3,177
[아라호] 9월 11일 주꾸미 조황
Araho 2,755
[아라호] 9월 10일 주꾸미 조황
Araho 2,912
[아라2호] 9월 10일 주꾸미 조황
Araho 2,401
[아라2호] 9월 9일 주꾸미 조황
Araho 3,045
[아라호] 9월 6일 주꾸미 조황
Araho 3,346
[아라2호] 9월 6일 주꾸미 조황
Araho 2,561