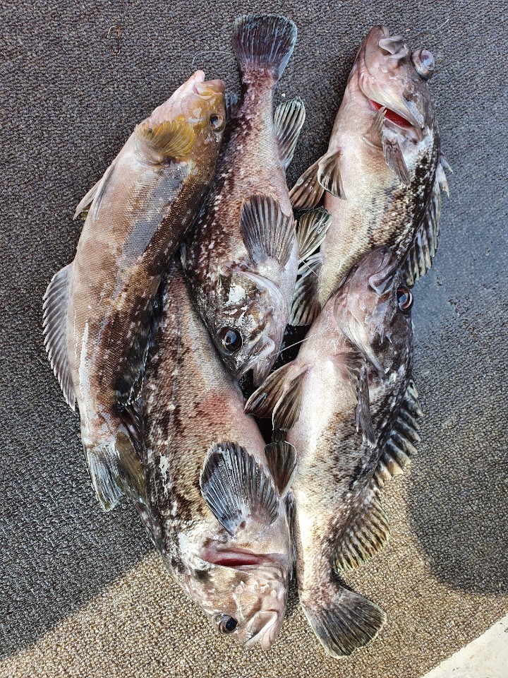
오늘 소수인원 모시고 우럭 탐사 다녀왔습니다.
어제 큰 바람이 불어 물색이 많이 탁했네요.
들물에는 큰 재미 못보고 썰물에 실한 놀래미, 우럭들이 몇마리 보여 주네요.
찬 바람에 종일 낚시 해주시는 조사님 감사드리고 내일은 더 나은 조황으로 보답하겠습니다.
감사합니다.
[아라호] 5월 3일 대광어 조황
Araho 2,515
[아라2호] 5월 3일 대광어조황
Araho 1 2,814
[아라호] 5월 2일 대광어조황
Araho 2,393
[아라2호] 5월 2일 대광어조황
Araho 3,439
[아라호] 5월 1일 아라호 대광어 조황
Araho 2,653
[아라2호] 5월 1일 대광어 조황
Araho 2,459
[아라2호] 4월 30일 대광어탐사 조황
Araho 2,279
[아라호] 4월 30일 대광어탐사 조황
Araho 2,821
[아라2호] 4월 28일 대광어탐사조황
[아라호] 4월 26일 대광어탐사 조황
Araho 3,643
[아라2호] 4월 26일 대광어 탐사조황
Araho 2,780
[아라2호] 4월 19일 아라2호 대광어…
Araho 3,104
[아라2호] 4월 18일 대광어조황 1부
Araho 2,050
[아라2호] 4월 18일 대광어조황 (8…
Araho 2,292
[아라호] 4월 18일 우럭단체조황 1부
Araho 2,062
[아라호] 4월 18일 우럭단체독선 조황
Araho 2,990
[아라2호] 알주꾸미 소수인원 출조
Araho 2,564
[아라2호] 4월2일 우럭 탐사 조황
Araho 2,567
[아라2호] 3월 29일 왕주꾸미 조황
Araho 2,366
[아라2호] 3월 22일 왕주꾸미조황
Araho 2,878